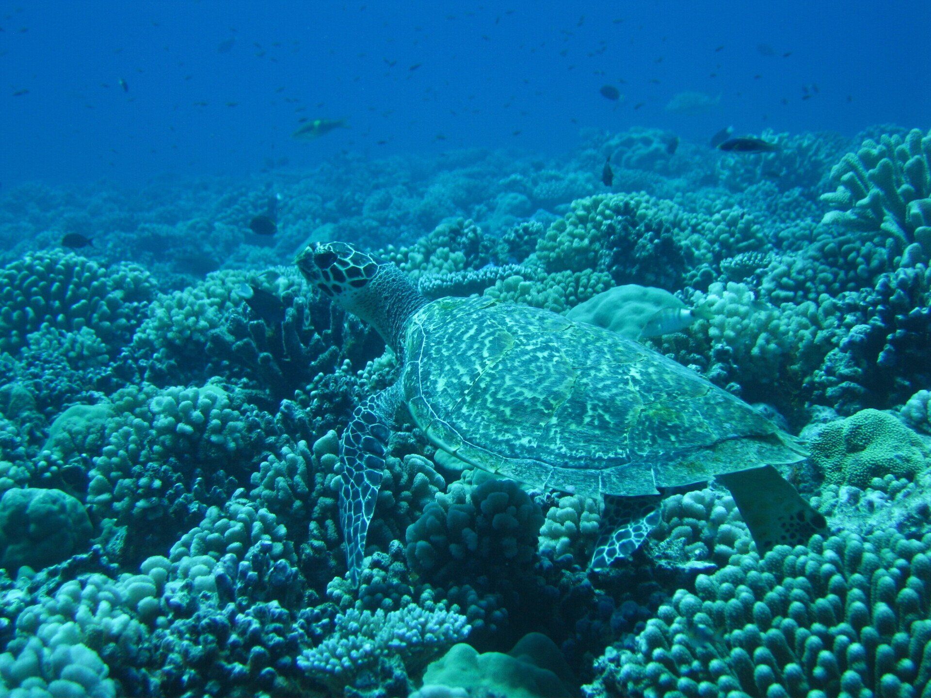
sea turtle project
Saving the green turtle and the hawksbill turtlein French Polynesia and Sri Lanka.
Difficulties
Valeur
Population study
Since 2005, we have been involved in the field in Bora Bora for the census and study of sea turtle populations on the Iles-Sous-Le-Vent. We were able to participate, in collaboration with Diren Polynesia and the NOAA agency of the United States government, in a large regional study on the genetics of green turtle populations in the South Pacific, as well as the marking and identification by electronic chip of dozens of green turtles.
environmental education
We are involved in the education and awareness of local populations, in particular thanks to certain professors who are members of the association. We want to involve young people in the conservation of their natural heritage and raise awareness on poaching issues. Every year, hundreds of children are made aware of sea turtles and the problems of lagoon pollution.
Financial support
Due to its geographical location, the logistical and technical costs in Polynesia quickly become astronomical. The costs of transporting educational materials, scientific materials or personnel are a large part of the expenses. We are also invested in Sri Lanka, which suffered the 2004 Tsunami, where we support a care center, in particular maintaining egg-laying sites and rearing juveniles.
Green turtle poaching
Green sea turtles (Chelonia mydas) are seriously threatened by poaching in French Polynesia. Indeed, every year dozens of adult turtles coming to lay eggs on the rare Polynesian sites, such as the atolls of Scilly or Mopelia, are massacred for commercial purposes. Turtles are eaten for their flesh and not for their eggs, which remains an illegal practice, sea turtles being protected in French Polynesia. The slow reproductive cycle of turtles does not allow them to cope with this human pressure and can lead this species to extinction in the short term. It would be a shame if future generations could not see these sacred animals. We are witness to this phenomenon and have saved several 10th animals since 2005.
Photos: S. Goutenègre/French Polynesia Customs Service.
Support from a center in Sri Lanka
Directly impacted by the 2004 tsunami, Sri Lanka suffered the full brunt of the destruction of its sea turtle nesting sites. We financially support the Kosgoda center on Benthota beach, which does remarkable conservation work, protecting the nests of the various species present, such as the green, hawksbill, loggerhead and sometimes olive ridley turtles. The center incubates in situ several nests in order to give a better chance of survival to the newborns. He also does a lot of educational work at the local level and collects injured turtles. This country having little means for conservation, it is vital for the future of sea turtles to continue to support these efforts.
Photo: S. Goutenègre
Saving Asian and African Elephants
Advocacy: Wildlife Conservation Projects is invested in the study, protection and conservation of elephants in Sri Lanka and Kenya. These emblematic animals which fascinate us all, are still threatened for several reasons: Whether it is for the poaching of their tusks in Africa, human/elephant conflicts in cultivated areas, the fragmentation of their territories, or even the poisoning of of waters. The most emblematic and majestic being the African elephant (with 3 subspecies: the bush elephant found in Kenya, the desert in Namibia and the forest in Côte d'Ivoire). The most threatened being the Asian elephants (with at least 3 subspecies: the largest in India and Sri Lanka, the smallest in Sumatra). Their fascinating behaviors and intelligence make it easy to identify with these animals. We are invested in education with schoolchildren in Metropolitan France in order to make the youngest aware of poaching.
Financial support
Grâce à vos dons, nous soutenons financièrement deux orphelinats : un au Kenya et un au Sri Lanka. Le soin et l'élevage de ces mastodontes requière de gros moyens. Nous soutenons la Sheldrick Wildlife Trust pour son travail de terrain reconnu et efficace, notamment avec son unité de réintroduction d'orphelins, unité vétérinaire qui intervient sur des blessures de la faune sauvage (empoisonnement par flèche, pièges, animaux en détresse), et son unité anti- braconnage.
Veterinary help
We provide veterinary assistance to the Pinnawela orphanage in Sri Lanka, which accommodates nearly 80 individuals. Each year, we are integrated into the Sri Lankan team, in particular as trainers, for the maintenance in good sanitary conditions of the herds and in particular of the large males.
Study of populations in Sri Lanka
Since 2016, we have undertaken a census of the population that inhabits Mineriya National Park. This magnificent site is one of the largest water reservoirs in the region where abundant wildlife can be found during the dry season. Nearly 116 individuals have been identified. Sri Lanka has the highest density of Asian elephants. In particular, we study the behavior of animals and the impact of tourism.
environmental education
The association's priority is to raise awareness among the general public and especially the youngest on issues of poaching and the preservation of species. We work in nursery and primary schools, setting up workshops with school teachers to present to students, among other things, pieces of tusks from state stocks.
The scourge of poaching in Kenya
This scourge, which has been going on since the 1970s, continues to put pressure on elephant populations, especially in Africa. Although protected by CITES, elephants are still the target of poaching for their tusks. Every year between 20,000 and 30,000 elephants are slaughtered. Although European countries have banned the import of ivory, France having even destroyed its state stocks, the situation is quite different in Asia. China and most Asian countries were very fond of ivory for decades. Kenya, for example, recently destroyed its ivory stocks in order to stop supporting this traffic. Barbaric methods range from gun hunting, poisoning water points, barbed wire traps and poisoned arrows. The animal's head is literally cut off in order to recover the tusks. In addition, some countries endorse trophy hunting where wealthy foreigners indulge in their favorite "sport" in designated "reserves" (under the pretext of funding conservation!)... In 2021, Botswana has authorized the slaughter of more than 280 elephants. Large males being the most popular, they are nevertheless genetic pillars for the species. The loss of these individuals is catastrophic. In 2021, CITES classified the forest elephant as a critically endangered species. So the problem is still not solved...
Photo: Mia Collis
Orphanages:
humans as a surrogate mother...
Elephants being gregarious animals, they are unable to live alone. When their mother or their group is decimated by poaching, a race against time is engaged to save the orphans. In Kenya and Sri Lanka, there are orphanages to give these orphans a fresh start. They are raised by humans with several bottles a day and integrated into groups with the aim of reintroducing them into their environment. It is a work of several decades that requires total devotion. These programs that we support financially have proven themselves for years and have seen these orphans become parents in turn, often coming to visit their protectors. This conservation work is essential to maintain the populations.
Photo: Sheldrick Wildlife Trust
Study and Safeguard of tamarinds in situ and ex-situ
De la famille des Callitrichidés, les tamarins sont des petits singes d'Amérique du Sud menacés par la déforestation ou par le trafic d'animaux de compagnie. Ces primates ont la particularité de donner naissance à des jumeaux qui sont majoritairement élevés par le père et le reste de la famille! Nous focalisons nos actions de conservation principalement sur 3 espèces: le tamarin lion doré dont il reste moins de 3000 individus à l'état sauvage, le lion à tête doré du Brésil et le tamarin pinché en voie critique d'extinction en Colombie. Nous finançons des programmes de conservation in situ pour ces espèces et menons nos propres études avec des experts du Muséum National d'Histoire Naturelle.
Studies
Nous étudions avec des experts du Muséum National d'Histoire Naturelle les vocalises des tamarins lion doré et des tamarins de Goeldi, ainsi que leurs comportements, notamment avec les nouveaux-nés ex situ.
Fight against poaching
For several years, we have observed an upsurge in acts of poaching in France, within zoological parks, which supply a market of collectors or individuals. As these species are classified as endangered, it is forbidden to keep them without authorization, or to trade in them. We systematically bring our help by our expertise during cases of this type, in order to help justice to dismantle these networks.
Funding
Nous participons aux financements de programmes de conservation in situ au Brésil avec nos partenaires AMLD et BioBrazil pour les lions doré et à tête dorée, ainsi que le "Proyecto titi" en Colombie pour la sauvegarde du tamarin pinché. Nous aidons à la reforestation de la forêt Mata Atlanticà. Fin 2020, 30% de la population de tamarin lion doré fut décimée par la fièvre jaune. Une vaste campagne de vaccination fut mise en place par nos partenaires locaux. Vous pouvez aider en faisant un don!
Environmental education.
As part of our education and awareness mission, we work with schools to introduce tamarinds to students. Every year, in partnership with the National Museum of Natural History, we organize World Golden Lion Tamarin Day on August 2nd, at the Ménagerie du Jardin des Plantes, in Paris.
Poaching
Les tamarins ont toujours fait l'objet de trafic au Brésil comme animaux de compagnie. Ils n'en sont évidemment pas! Ces animaux aux mœurs grégaires sont faits pour vivre en groupe familiaux et sont très sensibles au stress. Ces dernières années, en France, nous constatons une recrudescence de vols de tamarins au sein des parcs zoologiques ou de structures privées. L'association mène des actions en justice afin de se porter partie civile, apporter son expertise sur ces espèces et participer au démantèlement de réseaux.
Photo: Graig Chaddock
Connecting the forests so that the species continues!
In Brazil, the Mata Atlanticà forest is constantly being destroyed and remodeled, particularly for the cultivation of soy or cocoa. Only 8% of the original forest remains, the only habitat for the 4 species of lion tamarins. We participate in the financing of reforestation corridors with our local partners, with the aim of connecting parts of forests to each other, in order to avoid the genetic isolation of tamarin populations. The same is true in Colombia, with the reforestation of pinched tamarind territories.
Photo: E.Baril
Killer whales project in French Polynesia
Regulars of the great cold in the tropics...
Orcas, also incorrectly called killer whales, are cetaceans of the family Odontoceti. They fascinate as much as they frighten because of their size and their intelligence. These recognizable cetaceans inhabit almost all of the oceans, they are particularly present in the warm waters of the South Pacific where we have identified them in the waters of Bora Bora, in French Polynesia. Since 2017, we have undertaken a census with our local partners to better understand the biology of these species in the South Pacific..
Wild Tracking
Unlike the study of captive animals, the challenge of monitoring wild populations is quite different, especially in a territory as large as Europe. Our partners (fishermen, nautical activity providers) are at sea 365 days a year in order to obtain reliable testimony and a census.
Feed
From our observations and the testimonies of fishermen, we were able to identify certain food evidence, in particular by the remains of a Cuvier's whale that a pod of 9 individuals shared, but also hunting in schools of tuna near the islands of Maupiti and Moorea.
Photo-identification
Photo-identification of individuals is important in order to track groups. The dorsal and caudal fins allow us an identification which feeds a photographic database. These data are recorded in the National Inventory of Natural Heritage (INPN) managed by the National Museum of Natural History, with a view to scientific publications.
Culture and environmental education
We educate schoolchildren in Metropolitan France and Polynesia about these emblematic animals with a false bad reputation. Their intelligence, similar to ours, allows us to educate the youngest on the fact that orcas like humans have different cultures depending on where they live. It is, with the great apes, one of the rare animal species whose "culture" is proven.
Know better to protect
The biology of killer whales in the tropical waters of the South Pacific is not well known, in particular on their food habits and the frequency of frequentation in the Leeward Islands. We have seen, thanks to several launches by our observers, that they do not show any aggression towards humans. Going to meet these animals in the wild is often a dream for many, it remains possible in Bora Bora under certain conditions of approach, especially with our cetacean expert Simon and Tohora Bora Bora. French Polynesia is classified as a cetacean sanctuary, so killer whales are protected there!
Photo: S. Censier/ Tohora Bora Bora
Increased attendance in Bora Bora!
The encounter with these animals has always been anecdotal and rare in Polynesia, we have been able to see them as far as the Tuamotu and the Marquesas. However, since 2017, they have been encountered more and more frequently in the waters of Bora Bora, in particular by fishermen aboard their Poti marara, often in full hunt in a school of tuna. A launch was possible with a family of 9 individuals in 2019, reporting the first underwater images by our local observer Simon, from Tohora Bora Bora. At the beginning of 2021, we were able to take censuses to the neighboring island of Maupiti! At the end of 2021, a group was seen near Bora Bora airport.
Photos / video: S. Censier/ Tohora Bora Bora
Griffon vultures and Egyptian vultures, discreet giants in country Basque !
These scavengers unloved and unknown to the general public are nevertheless useful and play a major role in the ecosystem. Returning to France for several decades, the griffon vulture almost disappeared. With its 2.80 m wingspan, it hovers above the preserved landscapes of the Basque Country. We follow a colony in the Basque Country and have been recording births since 2019. The Egyptian vulture, the only French migratory raptor wintering in West Africa, is also present in the Basque Country but much rarer. We identify these majestic animals in collaboration with the Saiak association. Several of our members are experts in raptors, particularly in breeding, within the National Museum of Natural History.
A winning return from the griffon vulture
In the 1960s, the griffon vulture population at the national level had drastically dropped to less than 60 individuals. The species is considered threatened, although today its numbers have increased significantly, thanks in particular to a vast reintroduction plan in the Grand Causses, the Vercor, the Drôme and the Pyrenees. In 2007, according to the LPO, there were 850 breeding pairs in France, including 580 in the Pyrenees (in slight decline). The monitoring of colonies and in particular of births is essential to maintain the species, which has been able to reconquer its territory.
Egyptian vulture on borrowed time
This shy vulture, the only migratory raptor in France, should be more widely known to the general public for its fascinating ability to use tools (few animals are capable of this). Its population in France tends to be maintained with around 90 pairs, which is not necessarily the case in other European countries such as in the East where the populations of Greece or Bulgaria are falling dangerously mainly due to poisoning. Its monitoring in the Basque country is necessary for the preservation of the species, which is still on hold.
The Basque country, a region of refuge
The Basque country is a region known to ornithologists for being an important migration corridor for many birds migrating to West Africa (storks, cranes, birds of prey, pigeons...). Its pastoral tradition, its preserved landscapes, with an average altitude, are suitable sites for the reconquest of the griffon vulture and the Egyptian vulture, thus being able to disperse in the Pyrenees. Egyptian vultures were fitted with GPS beacons and released from the Basque country, as part of the National Action Plan.
Educate and raise awareness about these unloved
Vultures are still often poorly considered today, trailing false rumors behind them (we confirm that a vulture is incapable of carrying off children to devour them...). There is therefore a huge amount of awareness-raising work to be done with the general public, in particular to make people understand its major role in our ecosystem. It is also important that local populations invest in the observation and protection of these historically present species.
Guardians of our mountains
The strong pastoralism, traditional in the Basque country, makes it possible to maintain the griffon vulture populations. Indeed, without the help of humans to maintain this species, its survival could be compromised. The griffon vultures have reconquered their territory and are now well established in the Basque country. A success for this local species, France being one of the few countries in the world to see its vulture population increase. There are always threats: disturbance by hikers, hunting shots, high voltage lines that cause serious injuries to these giants of the air. Their role is essential for the good health of our mountains, they must be respected! We strive to educate young and old about the role of vultures in our landscapes. In this photo, we can observe white-necked adults and brown-necked juveniles. They can live up to 40 years!
Photo: JC Rivas
Le Percnoptere, a timid establishment.
Of a size smaller than the griffon vulture, the Egyptian vulture comes at the end of the food chain and comes to finish the carcasses with its thinner beak, because it is unable to shred the leather. This fascinating raptor has the ability to use tools (small stones) to crack ostrich eggs! With his punk look, his crest on the back of his head, and his yellow face, he is easily identifiable. The French population is rather stable and has nearly 90 pairs, including 14 in the Basque country. Its establishment in the Basque country is timid but must be consolidated and protected to ensure the species' future survival. We are involved in the PNA and assist the Saiak association for the census of adults and the monitoring of sites. The members of the association have, in a professional capacity within the National Museum of Natural History, raised chicks and allowed a release and a successful re-introduction in Bulgaria.
Photo: S. Goutenègre/ MNHN/ E. Baril/ D. Fajardo
Proboscis monkey project in Borneo
A unique and endemic monkey!
Le singe nasique (Nasalis larvatus), reconnaissable entre tous avec son gros nez, est une espèce endémique et menacée de l'île de Bornéo et un des plus grands singes d'Asie. Nous avons entrepris de suivre une population en Malaisie au sein du parc national Bako, recensée en 2016. Nous menons plusieurs études, notamment inspirées par des recherches d'une équipe allemande de l'université de Hanovre et le Muséum National d'Histoire Naturelle, sur les vocalises, les parasites ou encore l'impact du tourisme sur cette population. Le fléau de la déforestation sur l'île de Bornéo met en grave péril les populations de singes nasiques, tout comme le reste de la faune sauvage (Orang outan, panthère nébuleuse, calao rhinocéros...).
An iconic Borneo monkey
Unique representative of its kind Nasali, the proboscis monkey is endemic to the island of Borneo. His exclusively vegetarian diet allows him to eat inedible species that he can digest thanks to powerful bacteria in his stomach. Conversely, simple fruits can be fatal to it... Unlike other species of monkeys, this dietary particularity does not allow it to be raised in captivity. Its habitat must be preserved if we do not want to see it disappear.
A threatened habitat
The habitat of the proboscis is increasingly threatened. Living mainly in the coastal forests and mangroves of Borneo, it is less and less present in Malaysia where only 20% of the forest remains... On the Indonesian side, it's not much better! In 2016 alone, nearly two million hectares went up in smoke. Since the 1970s, the forest has shrunk by nearly 30%... Deforestation is now threatening populations of proboscis monkeys that were once isolated and remote.
Des facultés uniques
It is one of the few monkeys that can move upright. It is very agile in the canopy and is able to make large leaps to move from tree to tree. In case of danger, he can jump into the water because he loves mangrove areas! Its slightly webbed feet allow it to swim.
Raising awareness about palm oil
Palm oil...everyone hears about it. It is however the cause of the destruction of the forests of Borneo and which directly threatens the local fauna. This cheap oil allows the development of Malaysia and Indonesia and allows people to live off it. It is used worldwide in the food industry for making biscuits and other spreads. In Europe, manufacturers are beginning to play the game and offer products without palm oil. It is up to us consumers to become aware of the impact of our consumption habits.
Parc national de Bako, Malaisie
Ce parc national situé dans la province du Sarawak en Malaisie est un havre de paix pour les singes nasiques. On peut y rencontrer également des macaques et diverses espèces de serpents. La topographie de ce parc présente divers paysages: de la forêt plongeant directement dans la mer, à des côtes bordées de mangroves, aux hauts plateaux de végétations sèches. On y trouve également de larges plages idylliques. Ce site préservé est géré par la Sarawak Forestry Corporation avec qui nous collaborons pour l'étude de ces primates menacés.
Photos: S. Goutenègre
A strange attribute
Ce singe de la famille des Cercopithécidés, de taille assez grande et aux couleurs blondes à rousses et à la queue blanche, est classé en danger selon l'UICN. Il en resterait moins de 7000. Arboricole et végétarien, il peut sauter d'arbre en arbre avec agilité. Il vit près des mangroves et est capable de sauter à l'eau et nager. Il vit en harem d'une dizaine d'individus mené par un mâle dominant. Les mâles de cette espèce ont la particularité d'avoir un nez assez imposant. En effet, les mâles arborant les plus grands nezs sont considérés par les femelles comme les plus beaux! En plus de cet atout de séduction, l'appendice nasale sert de caisse de résonance pour amplifier ses cris.
Photo: M. Grévin
Corals/ ReefCheck project in French Polynesia
Status and monitoring of coral reefs.
Coral reefs are the only animal structures visible from space! Corals, like forests, are the basis of marine life. They are the lungs, an oasis of life, in the middle of the oceans where many species depend on them to survive. They serve as nurseries for fish, pantry for turtles and sharks, are a natural barrier to protect the lagoons against violent climatic phenomena such as cyclones. They are now threatened by global warming, rising ocean temperatures, water acidity, increasingly frequent cyclonic phenomena, but also direct destruction by human activity. The association, via our local branch Chelonia Polynesia, works in the field to protect coral reefs by participating in the global ReefCheck network, for the study and monitoring of reefs, it coordinates the network in the Iles-Sous-Le-Vent , in Polynesia.
The ReefCheck Network
What is Reef Check? It is a global and national organization working for the monitoring and scientific monitoring of corals. In France, the network is included in the IFRECOR Action Plan. Reef Check trains its members, including ourselves, with a standardized global method accessible to all. In 2022, Reef Check France entrusted us with the monitoring of several islands in Polynesia such as: Bora Bora, Tahaa, Raiatea, Tupai, Maupiti and Mopelia, the latter of which is difficult to access.
The different coral sites
Les différents sites sont appelés stations. Les coraux se développant aussi bien dans les lagons que dans l'océan, il existe plusieurs points de relevés : le récif frangeant, le récif barrière et la pente externe dans l'océan. Comptant parmi nos membres des plongeurs confirmés et ayant une bonne connaissance du terrain, nous mettons un point d'honneur à surveiller les pentes externes, les plus menacées par les cyclones, aussi bien que les lagons et leurs jardins de coraux soumis aux activités touristiques.
Reef Health
Coral reefs are home to 30% of marine biodiversity. It is therefore important to follow their evolution. In Polynesia, due to its geographical remoteness and the distribution of its 118 islands and atolls, we can say that the corals are in good health. The vast majority of species encountered are hard corals (Acropora type). In 2010, the Iles-Sous-Le-Vent experienced a devastating cyclone, Oli. Corals paid a heavy price for this disaster. In 2021, the corals have regained their splendor and reclaimed the sites where they were ravaged.
Raising public and school awareness
Since 2005, the president of the association and the members based in Bora Bora have been raising awareness among local and tourist populations about the protection of sea turtles and coral reefs. In particular, we participate in Oceans Day by organizing campaigns to clean up the lagoon or the flats, and raise awareness among schoolchildren about the importance of preserving their heritage. We educate fishermen and lagoon users about the Acanthaster, the coral-eating starfish.
Un trésor vivant a préserver
Il n'y a rien de plus beau que de parcourir un jardin de corail flamboyant et grouillant de vie. Les coraux ont une croissance lente, cassent facilement et sont très sensibles à la pollution et aux eaux trop chaudes. Un nombre incalculable d'espèces marines en dépendent : les requins y trouvent leur nourriture, les tortues y dorment, les raies manta vont sur des stations de nettoyage, et une armée de poissons et de crustacés entretiennent ces récifs et y dorment. Un récif corallien mort, c'est toute cette biodiversité qui va avec, qui disparaît. Mais qu'est ce que le corail? C'est un animal et non une plante. Il se compose d'un squelette calcaire abritant des polypes colonisés par des micro algues qui donnent leurs couleurs chatoyantes. Ces polypes se nourrissent de micro organismes comme le plancton, qu'ils attrapent avec leurs mini tentacules. Quand ces polypes meurent, le corail blanchit, il ne reste alors que le squelette. Dans le récif, les coraux rentrent en compétition avec les éponges. Il existe différentes espèces de coraux durs et coraux mous, de formes et de couleurs variées, comme les Acroporas, le corail cerveau, les tabulaires...
Photos : S. Goutenègre
Agir face aux défits...
The threats to coral reefs are numerous. First of all natural threats, such as cyclones which ravage everything in their path, the armies of Acanthaster, a starfish with venomous spines which devours an entire reef in one night! Rising temperatures can stress and bleach coral. The direct human threats are varied: boaters who drop their anchor on the reefs and tear off the corals, sunscreens which kill them, snorkelers and divers who touch or cling to the reefs, plastic pollution and fishing nets which clinging to corals, tourists walking on the reefs, uncontrolled degassing... All of this is common sense, but there is still a lot to be done to raise awareness among a wide public and effectively protect the reefs. There are solutions: the creation of marine protected areas that prohibit or limit human activities, including cuttings. As with plants, we can "cultivate" the coral in order to make it grow to re-establish it on damaged sites.
Photos: S. Goutenègre
South West Flamingo Project
These emblematic migratory birds, newcomers to the South West?
Flamingos have always fascinated man. There are six species of flamingos, four live in South America and two distributed in Africa, Europe and Asia. They migrate in groups from their graceful flights. In France, well known for their residence in the Camargue, here they are freshly landed in the Landes, an unusual place! Rarely observed in this region, they took up residence at the end of 2021 in the Orx marshes on the border of the Basque country and the Landes. The association, in cooperation with the Marais d'Orx National Reserve, has undertaken a census and monitoring of this colony in order to better understand their migration and their settlement in the region. Our teams have a long experience of raising flamingos on a professional basis within the National Museum of Natural History.
A new preserved site for flamingos!
The Orx marsh is a national reserve located between the Basque country and the Landes. This site, classified since 1995 and Natura 2000 site, is the property of the Conservatoire du littoral. It offers a great diversity of partly migratory birds. Composed of a mosaic of environments ranging from reedbeds, marshes and meadows, this site is home to a large population of birds of nearly 247 species. The flamingos have found a new feeding site there!
http://www.reserve-naturelle-marais-orx.fr/fr/un-site-ornithologique-majeur.html
A new population in the South West?
Flamingos are historically present in France in the South East, particularly in the Camargue and in number. Nothing exceptional so far. The recent presence recorded in the South West of a group of 21 young individuals, not ringed, having elected residence in the Marais d'Orx reserve raises several questions. Consequence of global warming? This site had never welcomed a group until 2021. This body of water obviously offers everything the flamingos need for their development.
Public awareness
The Marais d'Orx reserve is a site of the Conservatoire du Littoral which welcomes the public. The layout of the site, designed to disturb the birds as little as possible, is conducive to observations for ornithology enthusiasts. It is also a privileged site for raising awareness among schoolchildren and the general public about our environmental impact and the preservation of wetlands which are important for biodiversity. The association works to raise the awareness of as many people as possible on this subject.
Identify individuals
Flamingos have a long lifespan, up to 40 years in the wild and up to 60 years in captivity. It is important to study their population, especially this group of recently implanted youngsters, in order to have reliable data on the evolution of this colony over time. Banding, sexing, the study of their DNA, the formation of pairs, these data that we study can help the managers of the reserve to understand their biology and to maintain good environmental conditions to welcome these birds each year.
Behaviors and reproduction
Flamingos are gregarious migratory animals. Some populations may be resident. These elegant birds are filter feeders, feeding on microorganisms which they filter through their curved beaks. They trample the mud with their webbed feet so as to lift the nutrients into the stagnant waters. Having a long life expectancy (up to 40 years), couples are not necessarily faithful for life. Every year, they parade in synchronized ballet, bobbing their heads from left to right to strengthen their bonds. Several postures are described to communicate with each other. Their social ties are very complex. Some may quarrel within the group, but it remains very brief, and others develop long friendships. A flamingo alone and isolated, withered away and cannot survive without its group. The parents build a rudimentary dome-shaped nest, made of a mixture of silt and mud in a brackish to saline environment. The pair produce a single, chalky-textured egg, which they take turns incubating. At birth, the chick is covered in white down with a straight beak and often disproportionate legs. Juveniles often find themselves together, forming a crèche where the parents feed them and recognize them by their unique song. It is described and proven that there are homosexual couples.
Photos JC Rivas: Marais d'Orx
Photos and video S. Goutenègre/ MNHN: Eggs and chicks
Pigmentation... but why pink?
There are actually six species of flamingos, which are not naturally pink, they become! Their pigmentation ranges from white, through pale pink and up to bright red for the Cuban flamingo. Juveniles are white to gray, as are their pasta, beak and eyes which will change color as adults. The pigmentation of their plumage is actually determined by their diet! Indeed, flamingos spend a good part of their time filtering water in search of food in brackish to salt water. The pink color is determined by the carotenoid attached to micro algae and shrimp that the flamingos ingest. These pygments then attach themselves to their skin and feathers. In this video taken at the Orx marsh, we can observe juveniles filtering the water in search of food.
Video/photos: JC Rivas Marais d'Orx.
Photos of red flamingos with juveniles: S. Goutenègre/ MNHN
Beak illustration: Nicola Primola
Projet lori ultramarin en Polynésie française
An endemic and critically endangered bird in the Marquesas...
Locally called Vini, this little lory (wine ultramarina) endemic to Polynesia, has seen its numbers drop in all the archipelagos where it was present to be confined today to the Marquesas and more particularly to the island of Ua Huka. Classified in Appendix I of CITES and critically endangered according to IUCN. Breeding and reintroduction programs were started in the 90s with the San Diego Zoo so that in the end the population was decimated by the black rat... There are now very few couples left and the species is on the verge of extinction. We financially support the SOP Manu (Ornithological Society of Polynesia) in the field, in this fight against time.
A species on borrowed time
Despite a collaboration in the 90s with Diren Polynesia and the San Diego Zoo for the re-introduction of captive animals. This operation was successfully carried out on the island of Fatu Hiva with around 30 released couples, to ultimately see this population decimated by the black rat. The only hope for the came remains the island of Ua Huka, still unscathed from the black rat, preserved refuge where there are around 1000 pairs. As part of an action plan, a translocation project is under study.
Out of control rats...
Efforts to preserve the Polynesian islands from this pest are in vain... able to swim from motu to motu (island in Polynesian), the rat was able to colonize all the archipelagos of the Territory. It is a scourge for the conservation of endemic species such as the ultramarine lori or the Kuhl lori in the Australs. It is also a danger for humans that can transmit zoonoses through urine.
List couples
Additional financial means must be developed in order to help the SOP Manu in the field to preserve the habitat of the ultramarine lori. The census and inventory of the lori population must be able to continue in the steep valleys of the island of Ua Huka, while maintaining a level of knowledge about the species and its habitat. To date, nearly 1000 pairs have been recorded on the island of Ua Huka.
Raising public awareness
La légendaire hospitalité des marquisiens et leur fierté culturelle font de ce peuple à part un pilier pour la préservation de leur patrimoine naturel. Les marquisiens se sentent investis dans la protection de leur faune locale et aident à préserver l'habitat et la tranquillité des loris ultramarin. De plus, certains jeunes sont formés pour piéger le rat noir et limiter sa prolifération. Grâce à eux, l'île de Ua Huka est indemne du rat noir.
Last refuge: The Marquesas
Formerly quite widespread in the Polynesian archipelagos, the ultramarine lori has seen its numbers melt like snow in the sun due to the introduction of the black rat. Today its population is restricted to the Marquesas Islands, also colonized by the black rat. Still present in the last century, this vini has disappeared from the islands of Nuku Hiva, Ua pou, Tahuata, and Hiva oa. It remains today only on the island of Ua Huka, free from the black rat... with less than 1000 pairs.
Fight against the black rat...
The rat is a scourge for many species of birds as well as for humans in Polynesia. It wreaks havoc in the coconut groves and the losses due to devoured coconuts amount to millions of Pacific francs. It is difficult to control this pest. However, the trunks of the coconut trees are equipped with metal rings so that the rat cannot climb and reach the coconuts. As for the birds, it is difficult to protect the nests. Traps are installed in the islands in order to capture a greater number of them. On Ua Huka, still unscathed from this scourge, the SOP Manu has trained young people and traps have been installed, particularly at the port quay. The inhabitants are also involved in protecting their natural heritage.






















